Hírek
2013. Április 11. 09:31, csütörtök |
Helyi
Forrás: Baranya Megyei Rendőr-főkapitányság
Vezetni biztonsággal
Az első fordulóval beindul a Pécs Városi Baleset-megelőzési Bizottság és a Pécs-Baranya Közbiztonsági Alapítvány „Vezetni Biztonsággal” négy fordulós vetélkedősorozata.

A vetélkedő lényege, a közlekedők figyelmét ráirányítsa a balesetek kiszámíthatatlanságára, a baleseti okokra.
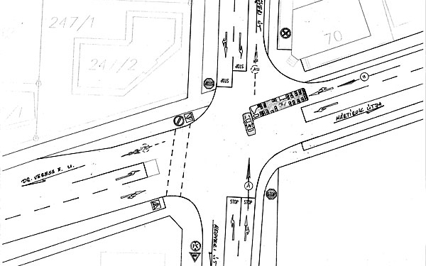
Minden forduló egy baleseti szituációt jelenít meg. A vetélkedőben részt vevő személy feladata a felvázolt közlekedési szituációk értelmezését követően válaszolni a feltett kérdésekre.
A fordulók végén a helyes megfejtők között három - három ajándékcsomagot sorsolunk ki. Aki mind a négy fordulóra beküldi a helyes megfejtést, azok között is kisorsolunk három értékes ajándékcsomagot.
„A” személygépkocsi közlekedett Pécsett a Megyeri úton, a Verseny utca irányából a József Attila út irányába. Haladása során a Mártírok úti kereszteződésbe behajtva a gépkocsi elejével nekiütközött a tőle jobbról érkező, a Mártírok útján a Dr. Veress E. u. irányába közlekedő Busz elejének.

Ki volt és milyen szabályt hagyott figyelmen kívül a baleset okozója?
A balesettel érintett járművezetőnek milyen kötelezettségei vannak?
A válaszokat kérjük 2013. április 18. (csütörtök) 12,00 óráig beküldeni a Pécs Városi Baleset-megelőzési Bizottság címére: 7622 Pécs, Vargha D. u. 3., vagy a gradvolts@baranya.police.hu címre. A megfejtésen kérjük feltüntetni: „Vezetni biztonsággal” I. forduló.
Ezek érdekelhetnek még
2025. December 10. 16:00, szerda | Helyi
Újabb dílereket buktattak le bonyhádi nyomozók - videó a cikkben
Egyházaskozáron igazoltatták egyiküket, azóta a bíróság mindkettőjüket letartóztatta.
2025. December 08. 21:23, hétfő | Helyi
Kettős jubileumot ünnepeltek Dombóváron: 50 éves a helyi karate, 20 éves a Dombóvári Karatesuli
Dombóvár méltó ünnepséggel tisztelgett a karate fél évszázados helyi jelenléte és a Dombóvári Karatesuli 20 éves fennállása előtt.
2025. December 08. 10:00, hétfő | Helyi
Tegyünk együtt a rászoruló családok karácsonyáért! – Karácsonyi Cipősdoboz Akció Dombóváron
Dombóvár Város Önkormányzata és helyi szervezetei idén is meghirdetik a Karácsonyi Cipősdoboz Akciót, hogy segítséget nyújtsanak a rászoruló családoknak.
2025. December 07. 16:17, vasárnap | Helyi
Kiemelkedő részvétel a KPVK nyílt napjain – pedagógus-, agrár- és társadalomtudományi szakok a fókuszban
A KPVK idei nyílt napjai minden várakozást felülmúltak: a pedagógusképzési, agrár- és társadalomtudományi szakok iránt rendkívül élénk érdeklődést mutattak a leendő hallgatók,

